Property Images
![]() | ![]() |
![]() | ![]() |
![]() | ![]() |
![]() | ![]() |
![]() | ![]() |
![]() | ![]() |
![]() | ![]() |
![]() | ![]() |
![]() | ![]() |
![]() | ![]() |
![]() | ![]() |
![]() | ![]() |
![]() | ![]() |
![]() | ![]() |
![]() | ![]() |
![]() | ![]() |
![]() | ![]() |
![]() | ![]() |
![]() | ![]() |
![]() | ![]() |
![]() | ![]() |
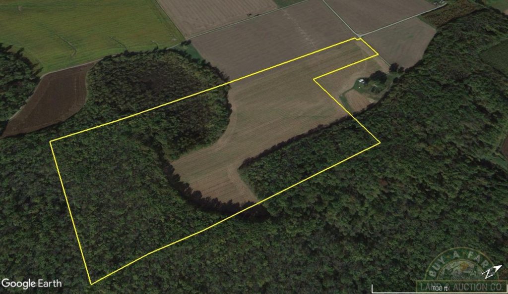
St. Clair County| 56 Acres| $329,450| Freeburg IL
55.7 acre mix of cropland and wooded 6+- miles SE of Freeburg IL or 4.7 miles West of Fayetteville IL on Lone Star Road. 21.4+- acres of cropland with a PI of 108.9. River bottom woods, cropland and proximity to the Kaskaskia River, one mile to the South, make for excellent whitetail hunting.
Short Legal: Part of Section 12, Township 2 South - Range 7 West, St. Clair County Illinois.
Taxes: $525.48 (2019 payable 2020). Parcel ID# 18-12.0-300-006.
4200 Lone Star Road, Freeburg, IL
![]() | ![]() |
![]() | ![]() |
![]() | ![]() |
![]() | ![]() |
![]() | ![]() |
![]() | ![]() |
![]() | ![]() |
![]() | ![]() |
![]() | ![]() |
![]() | ![]() |
![]() | ![]() |
![]() | ![]() |
![]() | ![]() |
![]() | ![]() |
![]() | ![]() |
![]() | ![]() |
![]() | ![]() |
![]() | ![]() |
![]() | ![]() |
![]() | ![]() |
![]() | ![]() |